조황관리HOME / 조황관리 / 상세정보

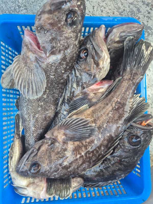
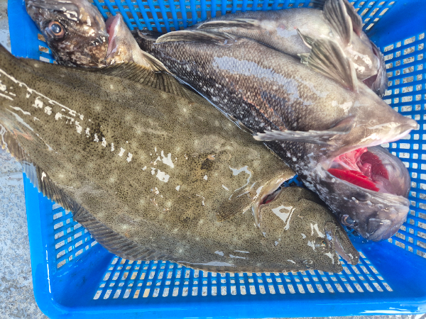
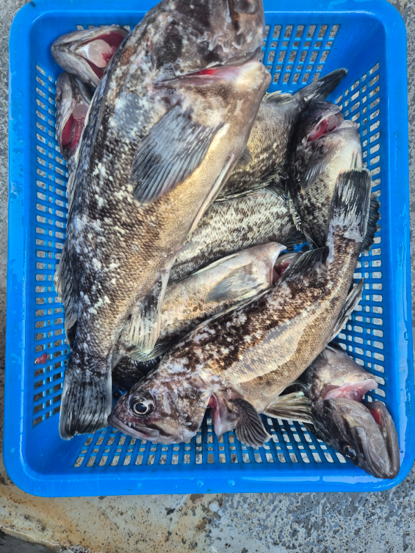
제목 : 12월29일 10분우럭조황~
등록일 : 2025-12-29




1000025886.jpg


1000025885.jpg


1000025884.jpg


1000025883.jpg


1000025882.jpg


1000025881.jpg


1000025879.jpg


1000025878.jpg


1000025876.jpg


1000025875.jpg


1000025874.jpg


1000025872.jpg


1000025871.jpg


1000025870.jpg


1000025868.jpg


1000025867.jpg


1000025866.jpg


1000025865.jpg


1000025863.jpg




=== 오이도 킹스타호 예약안내 ===


예약문의 : 010-5411-4989

오시는길 : 경기 시흥시 정왕동 2377 (시화방조제 중간 선착장)

홈페이지 : http://kingstar.sunsang24.com/


모바일.jpg

Top