조황관리HOME / 조황관리 / 상세정보

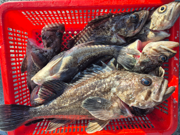
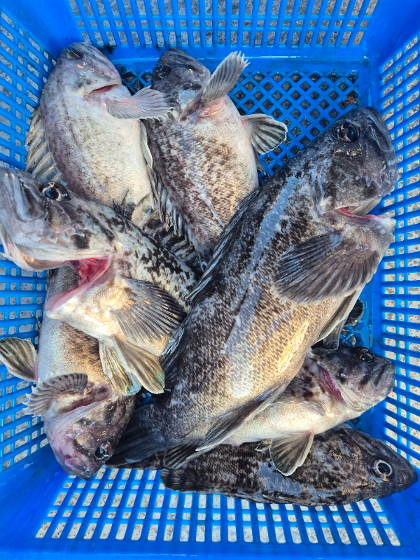
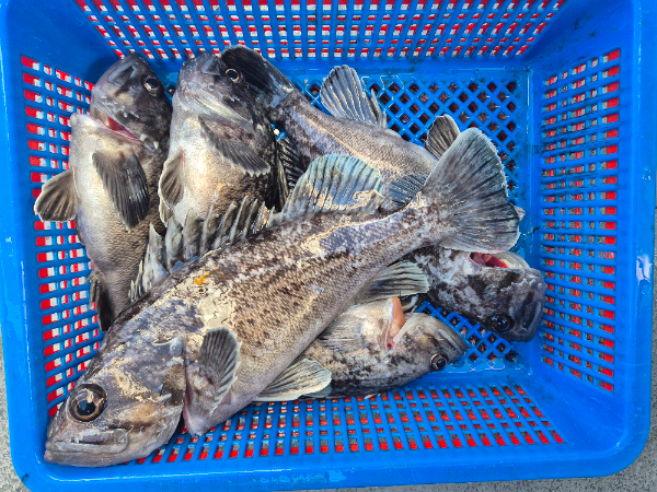
제목 : 12월18일 10분조사님들과우럭다녀왔습니다
등록일 : 2025-12-18




1000025779.jpg


1000025778.jpg


1000025777.jpg


1000025776.jpg


1000025775.jpg


1000025774.jpg


1000025773.jpg


1000025772.jpg


1000025770.jpg


1000025769.jpg


1000025768.jpg


1000025767.jpg


1000025765.jpg


1000025766.jpg


1000025761.jpg


1000025764.jpg


1000025763.jpg


1000025762.jpg


1000025748.jpg




=== 오이도 킹스타호 예약안내 ===


예약문의 : 010-5411-4989

오시는길 : 경기 시흥시 정왕동 2377 (시화방조제 중간 선착장)

홈페이지 : http://kingstar.sunsang24.com/


모바일.jpg

Top