조황관리HOME / 조황관리 / 상세정보

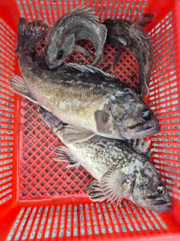
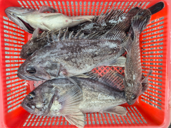
제목 : 12월6일 킹스타호 우럭조황
등록일 : 2025-12-06






























































=== 오이도 킹스타호 예약안내 ===


예약문의 : 010-5411-4989

오시는길 : 경기 시흥시 정왕동 2377 (시화방조제 중간 선착장)

홈페이지 : http://kingstar.sunsang24.com/


모바일.jpg

Top